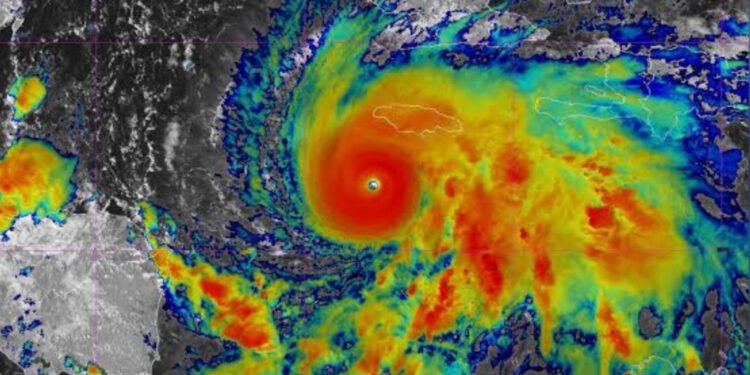
Dans un communiqué publié ce mardi 28 octobre 2025, le Secrétariat Général de la Présidence a annoncé que la journée du mercredi 29 octobre sera déclarée journée de suspension des activités sur tout le territoire national. Cette décision intervient à l’approche de l’ouragan Mélissa, désormais classé catégorie 5, qui menace sérieusement la région caribéenne.
La mesure s’applique à tous les secteurs : institutions publiques, établissements scolaires, entreprises privées et commerces resteront fermés afin de limiter les déplacements et de protéger la population face aux intempéries annoncées.
Le Conseil Présidentiel de Transition a demandé au Gouvernement, aux autorités locales et au système national de gestion des risques de mobiliser les ressources nécessaires pour anticiper les conséquences du cyclone. Des dispositifs d’urgence sont mis en place dans plusieurs communes du pays pour venir en aide aux personnes les plus vulnérables.

