Ouragan Mélissa : 20 morts, 10 disparus à Petit-Goâve, la rivière « La Digue » en furie

Date:

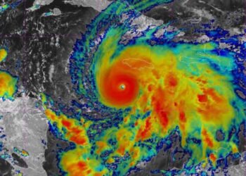
Le passage de l’ouragan Melissa, désormais classé catégorie 5, a plongé la commune de Petit-Goâve dans le deuil. Selon un bilan provisoire de la Direction générale de la Protection civile (DGPC), au moins 20 personnes, dont 10 enfants, ont perdu la vie après le débordement brutal de la rivière La Digue. Dix autres habitants sont toujours portés disparus.

Le drame s’est produit aux premières heures de la matinée, vers 4h, quand la rivière a violemment inondé les zones de La Digue et de Borne-Soldat. En quelques instants, des quartiers entiers ont été submergés. Maisons, bétail, véhicules, plantations : tout a été emporté par la montée soudaine des eaux. Des dizaines de personnes n’ont eu la vie sauve qu’en se réfugiant sur les toits, attendant désespérément l’arrivée des secours.

Le directeur général de la DGPC, Emmanuel Pierre, a confirmé que les équipes d’intervention sont toujours à pied d’œuvre pour retrouver les disparus et porter assistance aux sinistrés. Les blessés ont été pris en charge et transférés vers les centres hospitaliers les plus proches.

Naïka Eugene
Engagée pour une société plus juste, inclusive et participative, je mets mon énergie au service du changement social et de la démocratie en Haïti. 📩 Email: naikaeugene@hebdo24.com Suivez-moi sur X : @naikahebdo24

Partager l'article:

S'abonner

spot_imgspot_img

Populaire

Plus comme ça
Lié